高林 303坪 242万円
HP管理者
中古物件
- 交通 東北新幹線 / 那須塩原駅
- 取引態様 仲介
- 仲介料 規定額頂戴します
- 価格 241 万円
- マップ
土地
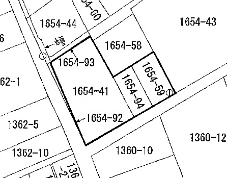
- 物件所在 那須塩原市高林字上柏林1654番41、-59、-94
- 土地権利 所有権
- 地目 山林
- 地積
公簿 1002㎡(303坪)
実測 - 道路 北西側(42条1項3号) 南西側(42条1項1号) 南東側(42条1項3号)
- 私道負担 あり
- 建ぺい率 60%
- 容積率 200%
- 都市計画 非線引区域
- 用途地域 指定なし
- その他
制限
建物
- 構造
- 用途
- 間取
- 現況
設備
- 水道 公営水道引込必要
- 電気 東京電力
- ガス 個別プロパン
- 排水 浄化槽設置必要
備考
- 最寄りの施設 スーパーいけがみまで約3.6km セブンイレブン那須塩原戸田店まで約3.5km 那須ガーデンアウトレットまで約6.2km 黒磯板室ICまで約6.6km 那須塩原駅まで約11km
- 備考 太陽光発電・蓄電池用地のお問い合わせは、 お断りしておりますので、あらかじめご承知おきください。
売土地物件
- 取引態様 仲介
- 仲介料 規定額頂戴します
- 価格 241 万円
- 交通 東北新幹線 / 那須塩原駅
- マップ
土地
- 物件所在 那須塩原市高林字上柏林1654番41、-59、-94
- 土地権利 所有権
- 地目 山林
- 地積
公簿1002㎡(303坪)
実測 - 道路 北西側(42条1項3号) 南西側(42条1項1号) 南東側(42条1項3号)
- 私道負担 あり
制限
- 建ぺい率 60%
- 容積率 200%
- 都市計画 非線引区域
- 用途地域 指定なし
- その他
設備
- 水道 公営水道引込必要
- 電気 東京電力
- ガス 個別プロパン
- 排水 浄化槽設置必要
備考
- 最寄りの施設 スーパーいけがみまで約3.6km セブンイレブン那須塩原戸田店まで約3.5km 那須ガーデンアウトレットまで約6.2km 黒磯板室ICまで約6.6km 那須塩原駅まで約11km
- 備考 太陽光発電・蓄電池用地のお問い合わせは、 お断りしておりますので、あらかじめご承知おきください。
賃貸物件
- 家賃 241 万円
- マップ
物件
- 物件所在 那須塩原市高林字上柏林1654番41、-59、-94
- 床面積
料金
- 火災保険料
- 仲介料 規定額頂戴します
- 敷金
- 礼金
- 共益費
- 管理費
- 駐車料
設備
備考
- 学区
- 最寄りの施設 スーパーいけがみまで約3.6km セブンイレブン那須塩原戸田店まで約3.5km 那須ガーデンアウトレットまで約6.2km 黒磯板室ICまで約6.6km 那須塩原駅まで約11km
- 備考 太陽光発電・蓄電池用地のお問い合わせは、 お断りしておりますので、あらかじめご承知おきください。
駐車場
- 賃料 241.0 万円
- マップ
- 所在地 那須塩原市高林字上柏林1654番41、-59、-94
- 敷金 / 保証金
- 礼金
- 種目
- 交通 東北新幹線 / 那須塩原駅
- 備考 太陽光発電・蓄電池用地のお問い合わせは、 お断りしておりますので、あらかじめご承知おきください。
ABOUT ME

